

I woke near 1 a.m. from a weird dream. I had gone into the bathroom at work to clean something out of my hair and found the toilet piled high with paper towels balled up over packages of hotdogs, tourist maps, and markets (not sure on that one) and was contemplating the mess. Luckily upon waking, I was able to go back to sleep in the clean bed for another four hours. We leave the room and check-in with Spectre Dive Boat before boarding while the sun is still debating cresting the horizon.


The boat seems twice as full as the last time we were here which was back in August 2017. It was our first time diving without a guide, I lost a flashlight, and we sat out our last dive on the first day because Caleb’s neck was hurting (eight days before his subaxial spine surgery) and I was exhausted from the current, swells, and kelp attacks. Those would be our 27th to 31st dives and today would start with number 124, having accumulated over 60 hours of underwater time in between.


We (and I mean Caleb) set up our dive gear. Some people come aboard with their gear on so they can set it down and get their tank filled and there are still classes and individuals who are paying for the full treatment of getting their gear set up, getting help with weights, and fitting a wetsuit. All this is done by 7 a.m. so that things will be tied down and we can listen to the safety brief while we drive in the no-wake zone as we leave the harbor.



Breakfast is hot sandwiches (with meat and ain’t meat), even hotter coffee/tea/cocoa options, and some pre-packaged snacks along with plenty of water. While we wait an hour and a half to arrive at the first dive site I will notice a man from Pennsylvania reading a book, Bad Monkey by Carl Hiaasen, which is apparently a chaotic tale taking place in the Florida Keys and is more Caleb’s genre than mine. I continue to listen a bit more into his conversation with the couple from Switzerland as he advises them on the best places to see when they make their way to the Pacific Northwest.


We start to change from sweaters to wetsuits when we notice an instructor getting into his dry suit. Other people will follow as they feel that we know something they don’t while others seem to wait for permission. You are allowed to be ready as soon as you board, but it’s not recommended in warmer climates where you can easily overheat. We enjoy being the first ones in the water so that we have a chance to see everything (scare them all away) before others unknowingly swim by or cause us to miss an encounter; though we always miss something and that’s just nature.


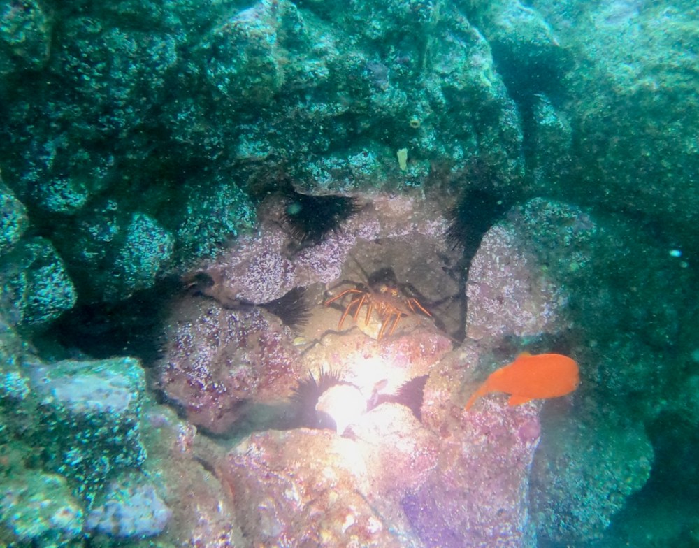
The air is 66 degrees, so even though the water is two degrees warmer at Dove Canyons, it feels colder. I notice a fish feeding frenzy, consisting of at least four species, on a sea urchin that had the unfortunate luck of being in half; not sure how it got into that predicament. Out of the dark depths, the furthest being 36 feet, rose what appeared to be a bat ray that continued to keep in shadow until it disappeared. We come aboard for our 70-minute interval and the hot tub is turned on and will be toasty after our second dive – which is the stopping point for some divers.

Our second dive site is Wizard’s Hat, named after a nearby rock feature, but could also be called kelp soup. We swim through an arch in hopes of seeing sharks but are just as happy with the acrobatic fish playing in this haven from the garden of entanglement. However, they don’t need the assistance of air tanks to keep them underwater and other tools that can easily get caught in the dense forest of what sea otters and spiny lobsters call salad. I try to navigate to a more swimmable area, but the only way is up and out of the water so Caleb can recover from being attacked by his food’s food.


During this intermission, two wives found themselves in the hot tub as they’re not certified to dive but felt like accompanying their husbands for a day on the water. They attempt the weak excuse of their age as to why they haven’t taken the plunge yet, but I assure them I’ve gone under with divers double their years of life. As others return, they will remove their neoprene (banned in the hot water bath) and dunk themselves in for a rest. I’m too certain that once my body returns to its normal operating range or the over comfiness that respite from the cold will bring that I would suffer to return for the third dive.


Also joining us on the boat is a class from Dive Santa Barbara. They only drove 32 miles to be here and one group about twice that. This is just more proof of how much this boat, and company, sticks with you as the teacher used to work aboard but quit when his part-time status wasn’t enough support. My only issue would be with their safety and pre-dive briefings being heard by half the guests, though it seems an important member from each group was able to grasp enough to stay alive, not get lost at sea, and have a good time; which is what it’s all about.


With hood and gloves removed, I’ll partake in some cocoa sipping before the third dive at Barracuda. The water seems warmer, but I’m sure it’s only because my internal body temperature has dropped so the difference doesn’t feel as drastic. We seem to be followed by our own Garibaldi damselfish, but after being named the state fish of California, their numbers are stable enough to add an orange pop of color to many a green or blue background with dirty tan kelp and eye-catching pink or purple sea plants nearby. Fifty minutes pass in the blink of an eye, but my feet have been keeping count of the seconds and remind me of their extremity upon exiting the water when I try to regain my footing.


I’ll strip my way down into the hot tub leaving my gear in a pile at my numbered station, taking off my skinsuit once I’m safely under the water’s warm grasp. Surprisingly, this box can hold at least six people, but being sufficiently warmed up, I’m not trying to stew in here with too many bodies and I get out to change into dry clothes and make room for others to do the same upon their return. Then I can deliver them warm brownies with ice cream, such a treat, and make sure their trash ends in the bin and not the sea. I much prefer warm water dives, but fear I’m being spoiled for future colder water ventures when I’m in a drysuit so that I may attempt to swim with narwhals amongst the ice.


We return to Ventura Harbor at 4 p.m. and after loading our gear into the car walk over to the dive shop to look at finding another deal. I got my 7mm Henderson wetsuit on sale. We only notice what seems to be a suit for a giant but are told it’s more for circumference than height; either way, it’s too big for me so we will continue to wait as we’re not in a rush. Caleb still wants to find me a hat with a strap so it won’t blow off my head on a windy day while bike riding. We walk into Hats Unlimited with this purpose and to our surprise (not really) we leave with matching American flags with sharks as stars chinstrap sunhats.


Not ready to return to the room just yet, we find a local brewery, Red Tandem, that has card and board games galore. We will pass an hour playing with a regular deck of Skip-Bo, War, and Uno (once we separate the two decks). Next on our to-do list is to find food as lunch seems many hours ago. We had the choice of a chicken quarter or veggie burger with sides not worth remembering. I took advantage of the free bar snacks so I’m not that hungry. We’ll return to the room so Caleb has access to the food supply there and we can read and stretch out, me under a blanket.
